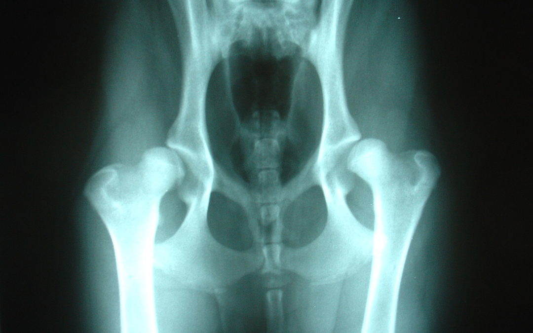
Displasia coxo-femural

Displasia coxo-femural

A Displasia Coxofemoral (DCF) é uma doença poligênica (vários genes relacionados a formação de estruturas) de natureza multifatorial e extremamente complexa, que comumente resulta em alterações degenerativas irreversíveis devido a incongruência articular que leva à...